Property ID/MLS#
Many Options On Main Street!
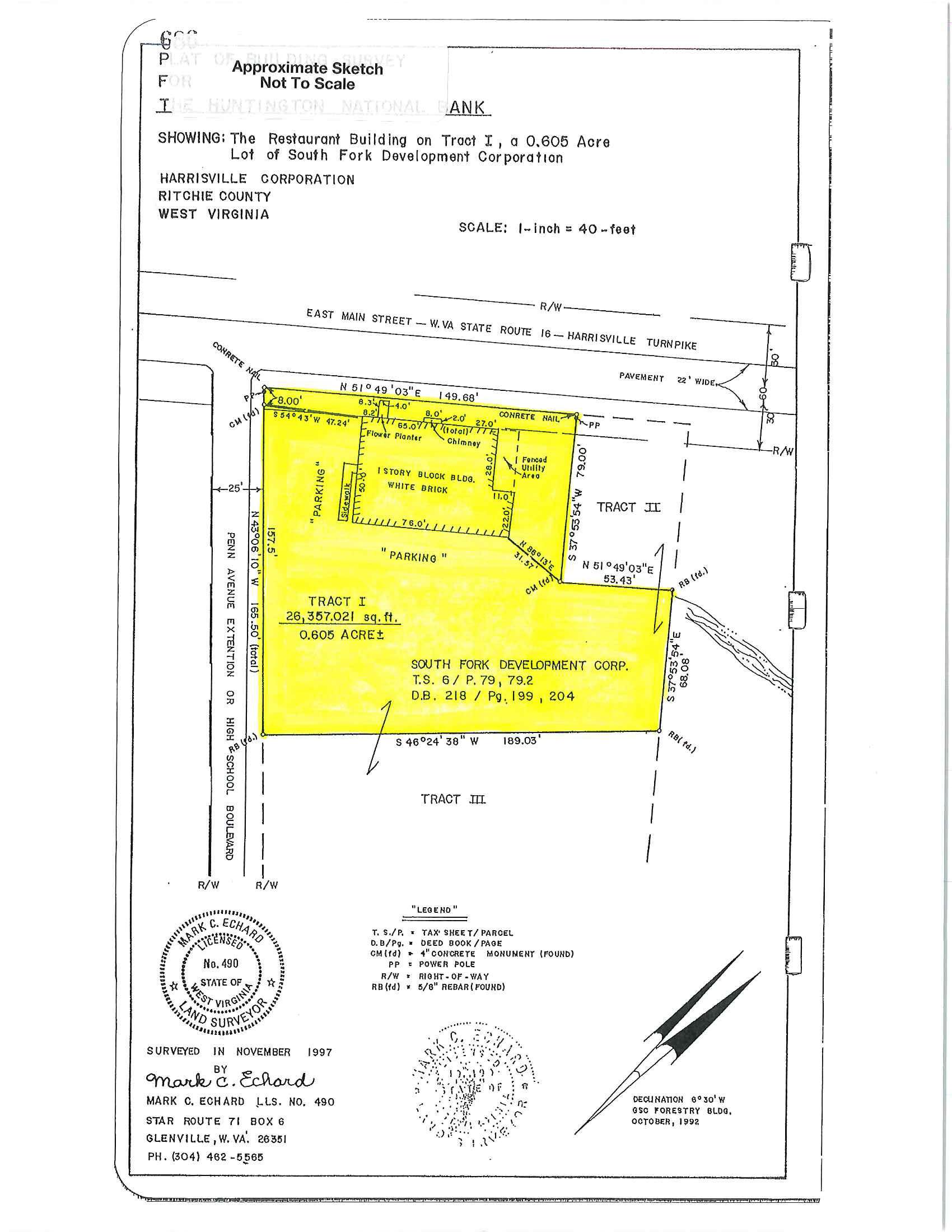
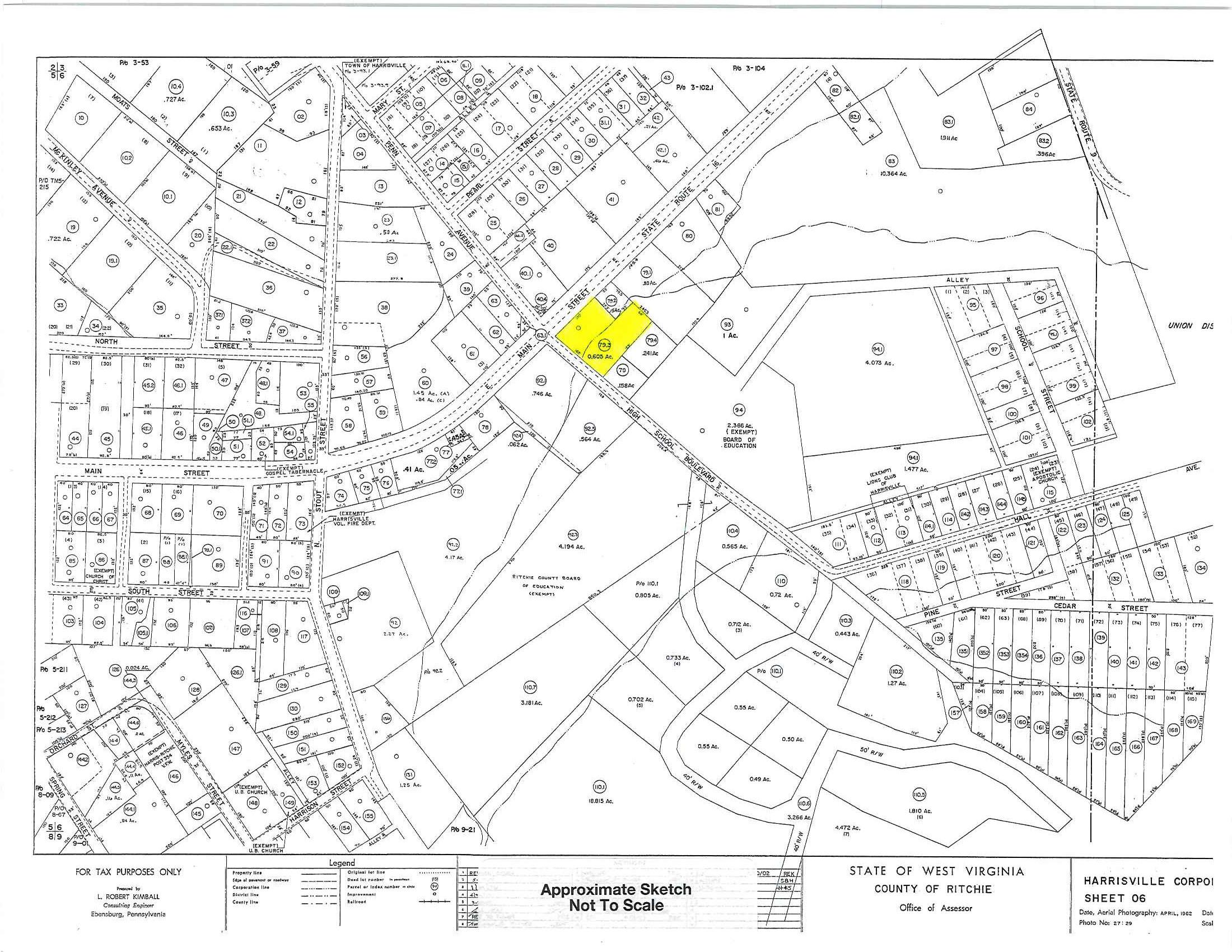
902 E. Main Street, Harrisville WV 26362
For Sale $109,000.00
This highly visible, 0.60-acre lot is located right in the heart of the County Seat of Ritchie County, Harrisville, WV. Frontage on both E. Main Street and S. Penn Ave., makes for easy access in and out of this property, along with a 4-way stoplight at the corner.
This location was known as the home to The Pizza House restaurant for many years. Unfortunately, for the community, the building burned in 2024 and locals are hoping for a new business to come to town and fill the vacant lot. The building has been professionally torn down, cleaned up and hauled away and this lot is now looking for a new owner with great ideas!
Property Details
Tax ID: 06-0006-0079-0003
Annual Taxes: 755
Additional Info
Exterior Features: Municipal Water, Municipal SewerLand Details: 1 Lot, 149 Frontage, Vacant Land
Directions: From Rt. 50 4-lane in Ellenboro, follow Rt. 16 South approx. 4.5 miles to stoplight in Harrisville. Property is on the left, fronting on E. Main Street and S. Penn Ave.










